Modernes Wohnen in naturnaher Lage mit bester Anbindung
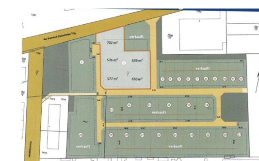
Neues Wohngebiet „Stürholzgarten“ in Oebisfelde
Das Baugebiet „Stürholzgarten“ liegt im attraktiven Ort Oebisfelde und verbindet ruhiges, naturnahes Wohnen mit hervorragender Infrastruktur. Einkaufsmöglichkeiten, Schulen und Kindergärten sind in wenigen Minuten erreichbar, während die Anbindung an die Bundesstraße und öffentliche Verkehrsmittel eine schnelle Verbindung zu umliegenden Städten ermöglicht. Die großzügigen Grundstücke bieten ideale Voraussetzungen für individuelle Wohnträume in einer grünen Umgebung.
Wissenswertes:
- Bebaubar mit: Einfamilienhaus und Doppelhaus nach B-Plan
- Kosten: ab 200 Euro pro m²
- Größe: 567 m² - 702 m²
- verfügbare Bauplätze: 5 freie Bauplätze
- sofort verfügbar
Kontakt
Sollten Sie Fragen haben, nehmen Sie gern mit uns Kontakt auf.



