Im Herzen der Börde, nah an allem
Gröningen – Wo Lebensqualität auf Perspektive trifft
Gröningen ist eine charmante Kleinstadt im Landkreis Börde in Sachsen-Anhalt, eingebettet zwischen der fruchtbaren Magdeburger Börde und dem Harzvorland. Die Stadt liegt nur etwa 40 km südwestlich von Magdeburg und rund 10 km östlich von Halberstadt – ideal für Berufspendler und Ruhesuchende gleichermaßen.
Dank der nahegelegenen Bundesstraße B 81 sowie der 2003 eröffneten Ortsumgehung ist Gröningen verkehrsgünstig angebunden und dennoch vom Durchgangsverkehr entlastet. Einkaufsmöglichkeiten, Kindergärten, Schulen, Ärzte und gastronomische Angebote befinden sich direkt im Ort oder in den Nachbarstädten.
Die Umgebung besticht durch eine abwechslungsreiche Landschaft mit Flussläufen, Feldern und kleinen Seen. Highlights wie der Zuckerpark mit seinem alten Baumbestand, die Klosterkirche St. Vitus auf der „Straße der Romanik“ sowie zahlreiche Rad- und Wanderwege laden zu Freizeit und Erholung ein. Historische Gebäude, Fachwerkhäuser und eine gewachsene Dorfgemeinschaft verleihen Gröningen einen besonderen Charme.
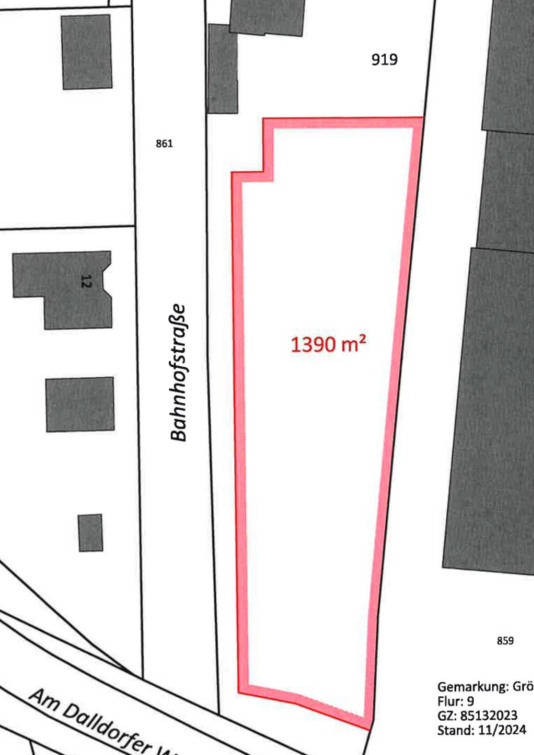
Wissenswertes:
- Bebaubar mit: Einfamilienhäusern
- Größe: 1.360 m² (Grundstück ist teilbar)
- Kosten: 55,- € pro m² + Kinderbonus bis zu 3.000,- € je Kind
- verfügbare Bauplätze: mindestens 1 Bauplatz, sofort bebaubar
Kontakt
Sollten Sie Fragen haben, nehmen Sie gern mit uns Kontakt auf.




